Femoral head ostectomy (FHO) surgery in dogs involves surgically removing the head of the femur (ball part of the hip joint) to minimize pain associated with canine hip dysplasia or other conditions affecting the hip. Dr. Lauren Blackwelder, friend of integrative veterinarian Dr. Julie Buzby, discusses FHO surgery in dogs, explains which dogs might benefit from this treatment, and prepares you for what to expect if your dog needs an FHO. Plus, she tells the story of her childhood dog who underwent an FHO.

Hip dysplasia is one of the most common orthopedic issues we see in dogs, especially in larger breeds. My own childhood dog, Sasha, had hip dysplasia and had already undergone one FHO (femoral head ostectomy) when my family adopted her from the humane society. They told us another surgery on the other hip was likely in her future.
Sure enough, about a year after we adopted her, Sasha slipped on the kitchen floor and dislocated her hip. Long story short, we ended up having an FHO done on that leg as well. She recovered well and lived to be 14 years old!
If your dog has hip dysplasia or another hip problem, you may be wondering, is FHO a surgery your dog would benefit from?
What is FHO surgery for dogs?
During the FHO (femoral head ostectomy) surgery, the veterinarian or veterinary surgeon removes the femoral head, which is the “ball” at the top of the thigh bone. In dogs with painful bone-on-bone contact, a hip dislocation, or other hip conditions, an FHO can significantly reduce their pain and increase their comfort and mobility.
Before we launch into specifics about femoral head ostectomy surgery, let’s review some canine hip anatomy.
Normal dog hip anatomy
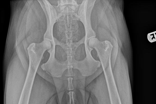
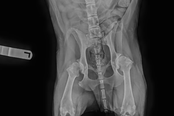
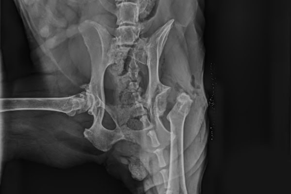
Like humans, a dog’s hip joint is a type of ball-and-socket joint. The topmost part of the femur has a round structure called the femoral head—the “ball” of the ball and socket joint. The femoral head sits in a cup-shaped area of the pelvis called the acetabulum. This is the “socket.” Normally, the head of the femur is covered with a cushion of cartilage and is seated deeply into the acetabulum.

Conditions that change the anatomy and function of the hip joint can lead to pain, difficulty walking on the leg, and overall discomfort. This is where the FHO, among other possible surgical procedures and medical management options, comes in.
Why might dogs need an FHO?
Broadly speaking, vets may use the FHO procedure as a way to reduce pain and improve comfort in dogs with a variety of issues in the hip joint. Removing the femoral head allows a false joint to form, which may be more comfortable to use than the diseased hip joint.
FHO as an option for treating hip dysplasia in dogs
A number of conformational abnormalities make up hip dysplasia in dogs, including:
- A shallow acetabulum
- A flattened femoral head
- A thick femoral neck (the neck of the femur connects the head to the long part of the bone).
These issues can often be seen on X-rays of the hips.
Hip dysplasia significantly predisposes dogs to painful and sometimes debilitating arthritis. This pain is caused by bone-on-bone contact within the joint due to the loss of the cartilage cushion and changes in the joint. Some dogs have hip dysplasia and never become symptomatic. Most, however, eventually display signs of arthritis in dogs, or may even dislocate their hip, as Sasha did.
For dogs with hip dysplasia who are in pain, treatment may include medications for hip dysplasia (medical therapy), a surgical procedure such as an FHO, or both.
FHO surgery for dogs with a dislocated hip
In addition to dislocating a hip due to hip dysplasia, dogs can also suffer a hip dislocation as a result of trauma, such as being hit by a car. Either way, a dislocated hip in dogs is painful and affects the dog’s mobility. Sometimes it is possible to get the hip back into the socket, but other times it is not. Plus, even if the vet gets it back in, the hip may pop out of place quickly again. When the hip won’t go back in place or stay in place, the vet may recommend an FHO.
FHO surgery to manage hip arthritis
Senior dogs may develop hip arthritis, which can be quite painful. Sometimes, relieving arthritis pain in dogs with medications and pursuing options for natural pain relief for dogs aren’t sufficient to keep the dog comfortable. In that case, the vet may suggest an FHO to decrease pain in the hip.


FHO surgery for dogs with Legg-Calve-Perthes disease
Legg-Calve-Perthes disease, which is more common in miniature and toy breed dogs, occurs when the blood supply to the femoral head is cut off—often after a traumatic injury. The end result is necrosis of the femoral head.
Having necrotic (dead) bone in a joint is not good. In these cases, an FHO can remove the dead bony tissue and give the dog a more functional and less painful hip. Interestingly, this condition can affect both dogs and cats, as well as humans!
FHO surgery for dogs with a hip fracture
There are times when surgical repair of a fracture that involves the hip joint isn’t an option. In those cases, an FHO can help relieve pain and improve comfort.
FHO vs total hip replacement
Another surgical option for treating hip dysplasia and the other hip problems listed above is a total hip replacement (THR). During a total hip replacement in dogs, the surgeon uses surgical implants to create a new hip joint. This differs from the false joint created by an FHO.
In general, most dogs have better long-term outcomes from total hip replacement than from FHO. They usually have more comfort and mobility after surgery. However, THR is significantly more expensive. Plus, a veterinary specialist (surgeon) usually performs the THR at a specialty referral hospital. On the other hand, some family vets are comfortable with performing FHOs in their clinic.
FHO is often considered a “salvage procedure” because it will not restore the full range of motion. But it can make dogs more comfortable and reduce joint pain if a total hip replacement is not possible.
Which dogs are good candidates for FHO surgery?
Dogs who are clinical (i.e., symptomatic) for hip dysplasia or other hip joint abnormalities can potentially benefit from FHO surgery. This is a conversation to have with your veterinarian because there are many variables at play.
Small dogs (those under about 45 pounds) tend to be the best candidates for an FHO. They don’t have as much weight to support on the false joint as a larger dog does.
Which dogs may not do as well with an FHO?
On the flip side of things, there are some situations where an FHO may not be the right choice.
- Large and giant breed dogs—The size and weight of large and giant breed dogs may make it harder for them to recover from an FHO. The more weight you place on the false hip joint, the harder it is to get up and around comfortably.
- Young or athletic dogs—Younger dogs or very athletic dogs may have greater success with a different treatment option, such as a total hip replacement. We know that an FHO will limit joint mobility, so it may not be the best choice for a canine athlete.

If your dog is having hip issues, talk to your vet. He or she will be able to outline all the options that would be reasonable. Remember, even if your dog is not an ideal candidate for an FHO, it may be a way to improve their quality of life if other treatments like a THR are not possible.
How much does FHO surgery cost?
Like any treatment, FHO surgeries have a wide range of costs, depending on your dog’s size and age, geographic location, whether it’s at a specialty hospital or general practice, etc. As a rough estimate, an FHO will likely cost around $1,200-2,500. Compare this to a total hip replacement, which can cost $7,000 or more.
How does the vet perform FHO surgery?
The main goal of a femoral head ostectomy is to decrease pain and increase mobility by surgically removing the femoral head of the abnormal hip joint.
During the FHO, the veterinarian will make an incision over the hip joint and dissect through the thigh muscles to reach the femur. He or she will access the hip joint and transect the ligament of the femoral head. These ligaments are located between the femur and acetabulum, holding the femoral head and neck in place. Once the ligament is cut, the hip joint can open up enough for the surgeon to position the femur.
At this point, the veterinarian will use specialized equipment to cut off the femoral head and neck. The bone is smoothed so there are no sharp edges, and the muscles are repositioned over the joint. These muscles help create scar tissue that forms a sort of false joint and holds the leg in place.
How can you prepare ahead of time for your dog to have an FHO?
If your dog is expected to undergo FHO surgery, you can take steps to prepare your home to make his or her recovery as smooth as possible.
Create a safe recovery space
When your dog gets home after surgery, it’s very important to contain him or her in a small area to minimize the chances of injuring the surgical leg. Make sure your dog has a soft bed or blankets to lie on and keep him or her from jumping on and off furniture or using stairs.
Find a way to keep your dog away from the other pets at first
If you have other pets at home, keep them separate from your dog during the immediate post-op period. Especially if there are times they’re left unsupervised, we don’t want any pup pals roughhousing or jumping on a fresh incision.
Purchase or borrow some recovery tools
Some items may be helpful to ease your dog’s FHO surgery recovery, including:
- A sling or harness, such as the Help ‘Em Up Mobility Harness or GingerLead Support and Rehabilitation Harness, can take some of the stress off their healing hip joint. This can be especially useful for navigating stairs, getting in and out of the car, and going outside.
- Dr. Buzby’s ToeGrips® dog nail grips, which help provide traction on hard floors to decrease the chance of falling on slippery surfaces.
- A well-padded dog bed to help your dog rest comfortably.
- New toys, especially mental stimulation toys for dogs (puzzle toys, snuffle mats, etc.), to provide some “brain exercise” while your dog can’t be very active.
Consult your vet
Ask your vet whether there are any other recommendations they can provide to make your home as safe and comfortable as possible for your dog after surgery.
What happens on the day of FHO surgery?
Your veterinarian will give you specific instructions to follow before surgery. This should encompass withholding food for a specific period of time, when/if to give medications (if applicable), and directions for drop off.
Expect to drop your dog off fairly early in the morning. This allows time for the veterinary staff to get your dog prepared for surgery, including performing any pre-operative blood tests for dogs or other tests.
Some vets will keep patients overnight, and others will discharge them the afternoon of surgery. At discharge, veterinary staff will go over post-op instructions. They will tell you how to care for your dog after surgery and explain the medications your dog is going home with.
Discharge is a great time to ask any questions you may have. It’s vital that you and your vet are on the same page for surgical recovery.
What is the recovery like from FHO surgery?
There are several things to keep in mind as your care for your dog after an FHO:
1. Limit exercise and activity at first.
Immediately following FHO surgery, your dog will need to be activity-restricted. It is essential to avoid high-impact activity because if your dog jumps or runs too soon after surgery, this may slow the healing process.
Activity restriction may mean crate rest for dogs and walks on a short leash for elimination purposes only during the first few days, then progressing to gentle exercise. Dogs who have undergone FHO surgery generally do not need to adhere to strict rest for as long as patients who have had fracture repairs or other orthopedic surgeries. Your vet will give you the specifics of what your dog can and cannot do after surgery.
2. Start physical therapy exercises and consider working with a rehab professional
It is important to preserve as much mobility as possible, so your vet will probably recommend starting physical therapy exercises early in the recovery period. Your vet can teach you how to do passive range of motion exercises for dogs at home to keep your dog’s hip moving.

Additionally, the surgeon may recommend utilizing veterinary rehabilitation services. Exercising on an underwater treadmill for dogs, for example, is a low-impact way to build up muscle strength. Acupuncture for dogs and laser therapy for dogs can also aid in healing.
3. Follow your vet’s recommendations about medications and other treatments
Give all medications as prescribed. Your dog will certainly need pain medications such as carprofen for dogs or gabapentin for dogs. He or she may also benefit from sedatives to help stay calm and relaxed through the post-op healing period. Vets often prescribe trazodone for dogs after surgery to help with activity restriction.
Your vet may recommend using cold or warm compresses on your dog’s leg to reduce swelling or decrease pain. Be sure to avoid putting anything on the incision without veterinary guidance.
4. Keep the E-collar on and don’t let your dog lick the incision
The vet may send your dog home with an E-collar (or “cone of shame”). It is essential that you utilize the E-collar to prevent your dog from licking the incision. Although the cone may be unpleasant, it is far less unpleasant than dealing with an infected incision.
5. Attend all follow-up appointments and contact the vet promptly with questions or concerns
Your vet will likely want to see your dog back for a post-op recheck after a certain period. Be sure to attend the follow-up visits. But don’t wait until an appointment if you have any urgent concerns about your dog’s recovery.
Call your vet right away if you notice any of the following:
- Signs of possible incisional infection such as redness, heat, or discharge near the incision
- Swelling of the lower leg or paw
- Your dog’s pain seems to be getting worse
- Your dog shows signs of illness like being a lethargic dog, poor appetite, or fever
When in doubt, call. It’s always better to be overly cautious than to ignore signs that a complication is brewing.
What is the prognosis after FHO surgery for dogs?
Just like my dog Sasha, many dogs can live long, happy lives after having an FHO surgery (or two!). The leg with the FHO may be slightly shorter or have a decreased range of motion in some cases. But this usually isn’t a big problem for your pup.

With the pain from the hip problem decreased by the FHO, the focus will be on maintaining mobility and continuing to minimize pain. The FHO surgery itself should not impact life expectancy—as long as your dog can get up and around comfortably, it’s a success! Especially if the hip has been painful for a while, your dog will most likely feel much better once he or she recovers from the FHO.
Talk to your vet about FHO surgery
If your dog has been diagnosed with hip dysplasia or another hip joint problem, ask your vet about what treatment options you have. He or she will be able to guide you to the best plan for your pup, whether it is FHO surgery or something else.
Has your dog had FHO surgery?
Please comment below.

